Продава Къща Масивно строителство в с.Енина

09:27 | 11 март 26 542

НОВА ЦЕНА!!! Къща за продажба в с. Енина с просторен двор и ъглов парцел

Цена: 78000 EUR
Цена/m2: 780.00EUR
Квадратура: 100 m2
Тип строителство: Масивно строителство
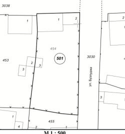
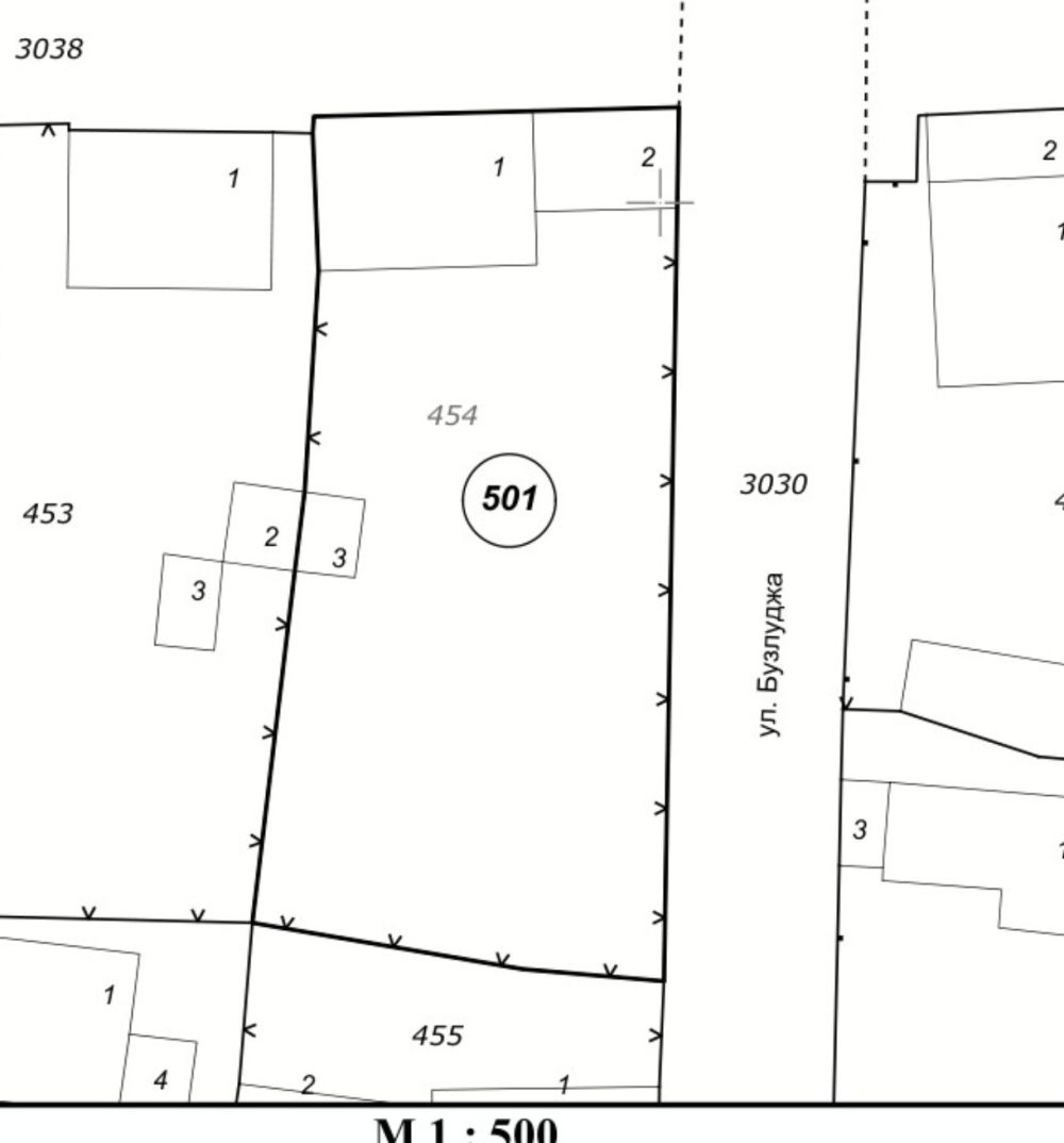
Описание на имота: SDN Estates LTD – Имоти Казанлък предлага за продажба къща с двор, разположена в с. Енина, в ъглов парцел, осигуряващ по-добър достъп и повече пространство.

Имотът е с двор от 670 кв.м. и разгъната застроена площ от 100 кв.м.

Разпределение:
• кухня с трапезария
• две спални
• баня с тоалетна

В имота има още гараж и кладенец, което е допълнително удобство за бъдещите собственици.

Къщата е без направени съвременни подобрения, което дава възможност новите собственици да я реновират и обзаведат по свой вкус.

Имотът е подходящ както за постоянно живеене, така и за ваканционен дом в спокойно село в близост до гр. Казанлък.

Агенцията съдейства за банково кредитиране при преференциални условия.
Огледи се организират в удобно за клиента време.

За повече информация и оглед:
0878 924 588
0878 924 585

www.sdnestate.com

SDN Estates LTD – Вашият доверен партньор в недвижимите имоти в Казанлък.

За контакти

Агенция за недвижими имоти SDN ESTATES LTD

Казанлък бул.,,23 -ти П. Шипч.Полк,, №2 тел: 0878 92 45 88 ;0878 92 45 85;0431 7-04- 27;

Виж всички Обяви за имоти от агенцията

Още подобни обяви:

Отдава под наем Тристаен апартамент Масивно строителство в гр.Казанлък 350 EUR

Отдава под наем Тристаен апартамент Масивно строителство в гр.Казанлък

Тристаен апартамент под наем в центъра на Казанлък – обзаведен, отделна кухня, 90 кв.м. SDN Estates LTD – Имоти Казанлък предлага под наем тристаен апартамент в гр. Казанлък, разположен в централната част на града – отлична локация с бърз достъп до всички удобства.Жилището е с площ от 90 кв.м., напълно обзаведено и готово за нанасяне.Разпределение:• всекидневна• отделна кухня• две спални• баня с тоалетнаАпартаментът е подходящ за:✔ семейство✔ наем в центъра✔ дългосрочно наеманеЦентрална локация – в близост до магазини, заведения, институции и транспорт.За повече информация и оглед:0878 924 5880878 924 585www.sdnestate.comSDN Estates LTD – Спокойствие. Сигурност. Професионализъм.

86m2 16 април 2026 гр.Казанлък
Продава Къща Масивно строителство в гр.Казанлък 150000 EUR

Продава Къща Масивно строителство в гр.Казанлък

Къща за продажба в Казанлък – район Манастира, двор, гараж, проект за надстрояване SDN Estates LTD – Имоти Казанлък предлага за продажба къща в гр. Казанлък, разположена в предпочитан район – Манастира, с отлична локация и инвестиционен потенциал.Имотът е с двор 200 кв.м., РЗП 54 кв.м., както и гараж 34 кв.м., подходящ както за живеене, така и за инвестиция.Разпределение:• две стаи• коридор• баня с тоалетнаГараж – 34 кв.м.Основно предимство:✔ готов проект за надстрояване (покривен етаж с веранда) – възможност за увеличаване на площта и стойността на имотаПодходяща за:✔ къща за живеене✔ къща с двор✔ инвестиционен имот✔ реконструкция и модернизацияРайон Манастира – спокойна и предпочитана локация в Казанлък, с бърз достъп до центъра.Цена: 150 000 евроАгенцията съдейства за банков кредит при преференциални условия.Огледи по всяко време с предварителна уговорка.0878 924 5880878 924 585www.sdnestate.comSDN Estates LTD – Спокойствие. Сигурност. Професионализъм.

54m2 16 април 2026 гр.Казанлък
Продава Тристаен апартамент Ново строителство в гр.Казанлък 185000 EUR

Продава Тристаен апартамент Ново строителство в гр.Казанлък

Тристаен апартамент с гараж за продажба – ново строителство, район Болницата, гр. Казанлък SDN Estates LTD – Имоти Казанлък предлага за продажба просторен тристаен апартамент, разположен в предпочитан район – до Болницата, с отлична локация и удобен достъп до всички необходими удобства.Жилището е с площ от 108 кв.м., на 2-ри етаж, в нова сграда, напълно обзаведено и завършено до ключ – готово за нанасяне без допълнителни разходи.Разпределение:• всекидневна с кухня• две спални• баня с тоалетна• терасаГараж – 20 кв.м.Мазе – 3 кв.м.Апартаментът предлага простор, функционалност и съвременен комфорт, подходящ както за семейно жилище, така и за инвестиция.Локацията в района на Болницата осигурява спокойствие, удобство и бърз достъп до централната част на града.Цена: 185 000 евроАгенцията съдейства за банково кредитиране при преференциални условия.Огледи се организират в удобно за клиента време.За повече информация и оглед:0878 924 5880878 924 585www.sdnestate.comSDN Estates LTD – Спокойствие. Сигурност. Професионализъм.

108m2 15 април 2026 гр.Казанлък
Продава Двустаен апартамент Ново строителство в гр.Казанлък 1300 EUR

Продава Двустаен апартамент Ново строителство в гр.Казанлък

Апартаменти за продажба в нова сграда пред Акт 16 – широк център, гр. Казанлък SDN Estates LTD – Имоти Казанлък предлага за продажба апартаменти в новопостроена сграда, разположена в широкия център на града, в района на Виенската сладкарница – отлична локация с бърз достъп до всички удобства.Сградата е изпълнена с висок клас материали и внимание към детайла, осигуряващи комфорт, енергийна ефективност и дълготрайност.Основни характеристики:✔ сграда пред Акт 16✔ модерна архитектура и качествено строителство✔ отлична локацияАпартаменти с площ от 51 кв.м. до 114 кв.м.Подходящи както за живеене, така и за инвестиция, с възможност за избор според нуждите на клиента.Цени от 1 300 евро/кв.м.Районът предлага удобство, комуникации и близост до магазини, училища, заведения и централната част на града.Агенцията съдейства за банково кредитиране при преференциални условия.Възможност за избор на апартамент в ранен етап.За повече информация и оглед:0878 924 5880878 924 585www.sdnestate.comSDN Estates LTD – Спокойствие. Сигурност. Професионализъм.

60m2 14 април 2026 гр.Казанлък
Продава Земеделска земя Парцел в гр.Казанлък 200000 EUR

Продава Земеделска земя Парцел в гр.Казанлък

Комасирана земеделска земя на първа линия на язовир Копринка – 20 дка SDN Estates LTD – Имоти Казанлък предлага за продажба комасирана земеделска земя с площ от 20 дка, разположена на първа линия на Копринския и Дунавския ръкав на язовир Копринка – изключително рядка и атрактивна локация.Имотът се отличава с директен достъп до водата и панорамни гледки, което го прави ценен както за земеделско ползване, така и за дългосрочна инвестиция.Характеристики:✔ площ – 20 000 кв.м. (20 дка)✔ комасиран имот✔ първа линия на язовир Копринка✔ отличен достъп и потенциалПодходящ за:• земеделска дейност• инвестиция с перспектива за развитие• проекти, свързани с туризъм (след промяна на предназначение)Районът е предпочитан за отдих и туризъм, с ограничено предлагане на имоти на първа линия.Цена: 10 евро/кв.м. (1 000 евро/дка)За повече информация и оглед:0878 924 5880878 924 585www.sdnestate.comSDN Estates LTD – Спокойствие. Сигурност. Професионализъм.

20000m2 09 април 2026 гр.Казанлък
Отдава под наем Двустаен апартамент Ново строителство в гр.Казанлък 400 EUR

Отдава под наем Двустаен апартамент Ново строителство в гр.Казанлък

Двустаен апартамент под наем – до парк Розариум, гр. Казанлък SDN Estates LTD – Имоти Казанлък предлага под наем двустаен апартамент, разположен в нова сграда, в непосредствена близост до парк Розариум.Жилището е с площ от 65 кв.м., напълно обзаведено и готово за нанасяне.Разпределение:• всекидневна с кухня• една спалня• баня с тоалетнаГараж включен в ценатаАпартаментът предлага комфорт, удобство и отлична локация, в близост до парк, магазини и всички необходими удобства.Наем: 400 евро / месецЗа повече информация и оглед:0878 924 5880878 924 585www.sdnestate.comSDN Estates LTD – Спокойствие. Сигурност. Професионализъм.

65m2 09 април 2026 гр.Казанлък
Продава Парцел строителство Парцел в с.Виден 75000 EUR

Продава Парцел строителство Парцел в с.Виден

Инвестиционни парцели за продажба – с. Виден, общ. Павел баня | УПИ за хотел, къщи за гости и турист SDN Estates LTD – Имоти Казанлък предлага за продажба регулирани поземлени имоти (УПИ), разположени в с. Виден, общ. Павел баня – район с отличен потенциал за развитие на туризъм и инвестиционни проекти.Имотите са с площ от 2,5 дка до 6,5 дка, като всички са с предназначение за изграждане на:✔ хотел✔ ресторант✔ къщи за гости✔ атракционни и туристически обектиЛокацията е изключително подходяща за развитие на туристически и бизнес проекти, в район, известен с минерални извори, СПА туризъм и нарастващ интерес от инвеститори.Предимства:✔ УПИ – готови за проектиране и застрояване✔ големи площи – възможност за мащабни проекти✔ отличен инвестиционен потенциал✔ развиващ се районИмотите предоставят възможност за реализиране на печеливш бизнес проект в един от най-перспективните райони за туризъм в региона.Цена: 30 евро/кв.м.За повече информация и избор на парцел:0878 924 5880878 924 585www.sdnestate.comSDN Estates LTD – Спокойствие. Сигурност. Професионализъм.

2500m2 09 април 2026 с.Виден
Продава Двустаен апартамент Ново строителство в гр.Казанлък 56243 EUR

Продава Двустаен апартамент Ново строителство в гр.Казанлък

Двустаен апартамент за продажба – ново строителство, център, гр. Казанлък SDN Estates LTD – Имоти Казанлък предлага за продажба двустаен апартамент, разположен в централната част на гр. Казанлък – отлична локация с бърз достъп до всички удобства.Жилището е с площ от 68 кв.м., на 4-ти етаж, в нова сграда, издадено по БДС (на шпакловка и замазка) – възможност да го завършите изцяло по свой вкус.Разпределение:• всекидневна с кухня• една спалня• баня с тоалетна• терасаАпартаментът предлага функционално разпределение и отличен потенциал, подходящ както за живеене, така и за инвестиция.Централна локация в близост до магазини, заведения, институции и транспорт.Цена: 110 000 евроАгенцията съдейства за банково кредитиране при преференциални условия.Огледи се организират в удобно за клиента време.За повече информация и оглед:0878 924 5880878 924 585www.sdnestate.comSDN Estates LTD – Спокойствие. Сигурност. Професионализъм.

68m2 07 април 2026 гр.Казанлък
Продава Къща Масивно строителство в гр.Казанлък 60000 EUR

Продава Къща Масивно строителство в гр.Казанлък

Къща с просторен двор за продажба в с. Средногорово SDN Estates LTD – Имоти Казанлък предлага за продажба едноетажна къща със сутерен, разположена в спокойното и предпочитано с. Средногорово – район с чист въздух и отлични условия за живеене.Имотът е с двор от 800 кв.м., предлагащ простор, възможности за градина, отдих или допълнително обособяване на зони.Разпределение:Основен етаж:• две спални• кухня с трапезария• баня с тоалетнаСутерен:• една спалня• изба• баня с тоалетнаСонда – допълнително удобство за водоснабдяванеИмотът е подходящ както за постоянно живеене, така и за вила или инвестиция, с възможност за модернизация и развитие според нуждите на новите собственици.Локацията предлага спокойствие, природа и удобен достъп до гр. Казанлък.Цена: 60 000 евроАгенцията съдейства за банково кредитиране при преференциални условия.Огледи се организират в удобно за клиента време.За повече информация и оглед:0878 924 5880878 924 585www.sdnestate.comSDN Estates LTD – Спокойствие. Сигурност. Професионализъм.

120m2 06 април 2026 гр.Казанлък
Продава Тристаен апартамент Ново строителство в гр.Казанлък 195000 EUR

Продава Тристаен апартамент Ново строителство в гр.Казанлък

НОВА ЦЕНА!!! Обзаведен апартамент в нова сграда – район Манастира Имоти Казанлък SDN Estates LTD предлага за продажба модерен и стилно обзаведен апартамент, ново строителство, разположен в предпочитания район Манастира, гр. Казанлък. Имотът е с площ от 95 кв.м. и се намира на 4-ти етаж, като съчетава комфорт, качество и отлична локация.Разпределение:- Просторна всекидневна с кухня- Две спални- Баня с тоалетна- Отделна тоалетна- ТерасаАпартаментът се продава напълно обзаведен, с внимание към детайла и използвани висококачествени материали и оборудване:- 6-камерна PVC дограма Hammar- Четворен стъклопакет- 3 броя инверторни климатици Mitsubishi – енергиен клас A+++Имотът е отличен избор както за лично ползване, така и за инвестиция, благодарение на модерното си изпълнение и търсената локация.Цена: 195 000 евро / 381 400,50 лв.Агенцията съдейства за отпускане на банков кредит при преференциални условия. За повече информация заповядайте в офиса на агенцията или на телефон 0878 924 588, 0878 924 585.

95m2 01 април 2026 гр.Казанлък
Следвай Казанлък във Facebook
Включи се с повече от 20 000 души, за да си винаги информиран
Следвай страницата kazanlak.com Следвай групата За Казанлак